Działka| Grędzina dz 427/30 | 0,3210 ha

Studium: tereny aktywności gospodarczej – usługowe – projektowane.
Działka| Grędzina dz 427/29 | 0,3100 ha

Studium: tereny aktywności gospodarczej – usługowe – projektowane.
Działka| Grędzina dz 427/28 | 0,3923 ha

Studium: tereny aktywności gospodarczej – usługowe – projektowane.
Działka| Grędzina dz 427/27 | 0,3300 ha

Studium: tereny aktywności gospodarczej – usługowe – projektowane.
Działka| Grędzina dz 27/5 | 1,0272 ha

Studium: teren rolniczy wyłączony z zainwestowania, ochrony krajobrazu integralnie związanego z krajobrazem kulturowym, projektowany Obszar Chronionego Krajobrazu „Dolina Widawy”.
Działka| Grędzina dz 27/4 | 1,0028 ha

Studium: teren rolniczy wyłączony z zainwestowania, ochrony krajobrazu integralnie związanego z krajobrazem kulturowym, projektowany Obszar Chronionego Krajobrazu „Dolina Widawy”.
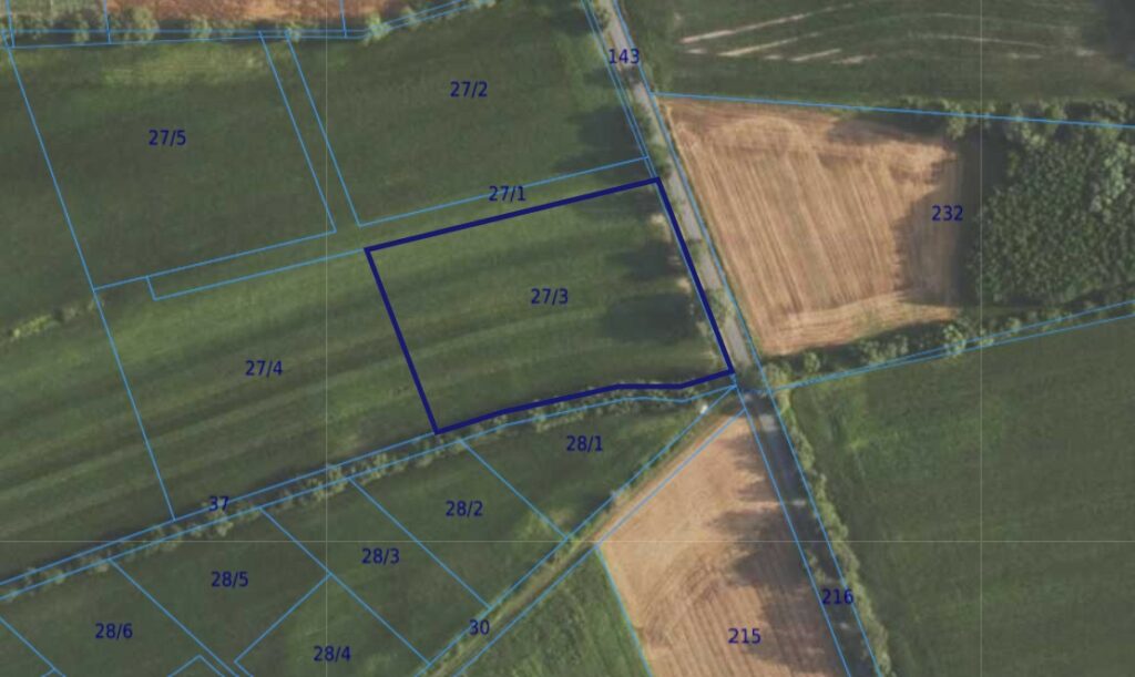
Działka| Grędzina dz 27/3 | 1,0042 ha

Studium: teren rolniczy wyłączony z zainwestowania, ochrony krajobrazu integralnie związanego z krajobrazem kulturowym, projektowany Obszar Chronionego Krajobrazu „Dolina Widawy”.
Działka| Grędzina dz 255/1 | 0,3750 ha

Studium: teren rolniczy wyłączony z zainwestowania, projektowany Obszar Chronionego Krajobrazu „Dolina Widawy”.
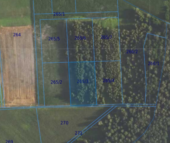
Działka| Grędzina dz 265/4 | 0,3537 ha

Studium: teren rolniczy wyłączony z zainwestowania, projektowany Obszar Chronionego Krajobrazu „Dolina Widawy”.
Działka| Grędzina dz 265/3 | 0,3538 ha

Studium: teren rolniczy wyłączony z zainwestowania, projektowany Obszar Chronionego Krajobrazu „Dolina Widawy”.
Działka| Grędzina dz 265/2| 0,3538 ha

Studium: teren rolniczy wyłączony z zainwestowania, projektowany Obszar Chronionego Krajobrazu „Dolina Widawy”.
Działka| Grędzina dz 252 | 0,44 ha

Studium: teren rolniczy wyłączony z zainwestowania, projektowany Obszar Chronionego Krajobrazu „Dolina Widawy”.
Działka| Grędzina dz 251/1 | 0,9981 ha

Studium: teren rolniczy wyłączony z zainwestowania, projektowany Obszar Chronionego Krajobrazu „Dolina Widawy”.
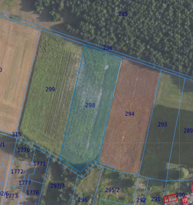
Działka| Grędzina dz 298 | 0,94 ha

Studium: teren rolniczy wyłączony z zainwestowania, ochrony krajobrazu integralnie związanego z krajobrazem kulturowym, projektowany Obszar Chronionego Krajobrazu „Dolina Widawy”.
Działka| Grędzina dz 449/3 | 2,1102 ha

Studium: teren rolniczy wyłączony z zainwestowania, ochrony krajobrazu integralnie związanego z krajobrazem kulturowym, projektowany Obszar Chronionego Krajobrazu „Dolina Widawy”.
Działka| Grędzina dz 427/20 | 0,3501 ha

Studium: teren rolniczy wyłączony z zainwestowania, ochrony krajobrazu integralnie związanego z krajobrazem kulturowym, projektowany Obszar Chronionego Krajobrazu „Dolina Widawy”.
Działka| Grędzina dz 427/19 | 0,3499 ha

Studium: teren rolniczy wyłączony z zainwestowania, ochrony krajobrazu integralnie związanego z krajobrazem kulturowym, projektowany Obszar Chronionego Krajobrazu „Dolina Widawy”.
Działka| Grędzina dz 427/18 | 0,4059 ha

Studium: teren rolniczy wyłączony z zainwestowania, ochrony krajobrazu integralnie związanego z krajobrazem kulturowym, projektowany Obszar Chronionego Krajobrazu „Dolina Widawy”.
Działka| Grędzina dz 423/6 | 1,0026 ha

Studium: tereny aktywności gospodarczej – usługowe – projektowane.
Działka| Grędzina dz 423/5 | 1,0026 ha

Studium: tereny aktywności gospodarczej – usługowe – projektowane.
Działka| Grędzina dz 423/4 | 1,0032 ha

Studium: tereny aktywności gospodarczej – usługowe – projektowane.
Działka| Grędzina dz 423/3 | 1,0033 ha

Studium: tereny aktywności gospodarczej – usługowe – projektowane.
Działka| Grędzina dz 423/2 | 1,0013 ha

Studium: tereny aktywności gospodarczej – usługowe – projektowane.
Działka| Grędzina dz 423/1 | 1,0039 ha

Studium: tereny aktywności gospodarczej – usługowe – projektowane.
Działka| Grębynice dz 65/6 | 0,1188 ha

MPZP: W części zachodniej działka znajduje się na terenie zabudowy mieszkaniowej jednorodzinnej, w części wschodniej na terenie gospodarki rolnej.
Działka| Grądy dz 145/2 | 0,1800 ha

MPZP: teren zabudowy mieszkaniowej jednorodzinnej. Niewielka część działki położona jest oznaczona jako teren dróg publicznych dojazdowych
Działka| Grabowno Wielkie dz 356/69 | 0,3040 ha

MPZP: tereny rolniczy.
Działka| Grabowno Wielkie dz 356/51 | 0,3877 ha

MPZP: tereny rolniczy.
Działka| Grabowno Wielkie dz 356/41 | 0,3190 ha

MPZP: tereny rolniczy.
Działka| Grabowno Wielkie dz 356/40 | 0,3112 ha

MPZP: tereny rolniczy.
Działka| Grabowno Wielkie dz 356/20 | 0,3586 ha

MPZP: tereny rolniczy.
Działka| Grabowno Wielkie dz 356/103 | 0,3312 ha

MPZP: tereny rolniczy.
Działka| Grabowno Wielkie dz 356/102 | 0,3300 ha

MPZP: tereny rolniczy.
Działka| Grabowno Wielkie dz 356/92 | 0,3299 ha

MPZP: tereny rolniczy.
Działka| Grabowno Wielkie dz 356/91 | 0,3300 ha

MPZP: tereny rolniczy.
Działka| Grabowno Wielkie dz 356/82 | 0,3299 ha

MPZP: tereny rolniczy.
Działka| Grabowno Wielkie dz 356/81 | 0,3298 ha

MPZP: tereny rolniczy.
Działka| Grabowno Wielkie dz 356/65 | 0,3298 ha

MPZP: tereny rolniczy.
Działka| Grabowno Wielkie dz 356/64 | 0,3297 ha

MPZP: tereny rolniczy.
Działka| Grabowno Wielkie dz 356/44 | 0,3625 ha

MPZP: tereny rolniczy.